Group:
1 Angiosperms (Flowering Plants) - I - Dicotyledons
Family:
Acanthaceae
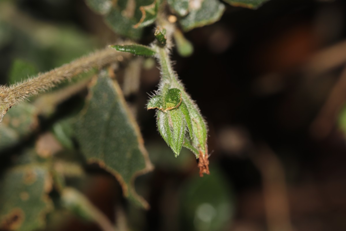
Genus:
Strobilanthes
Common sinhala name:
Nelu
Habit:
Shrub
Origin:
Endemic
National conservation status:
CR-Critically Endangered
Legal status:
Protected
Similar species:
All vernacular names:
