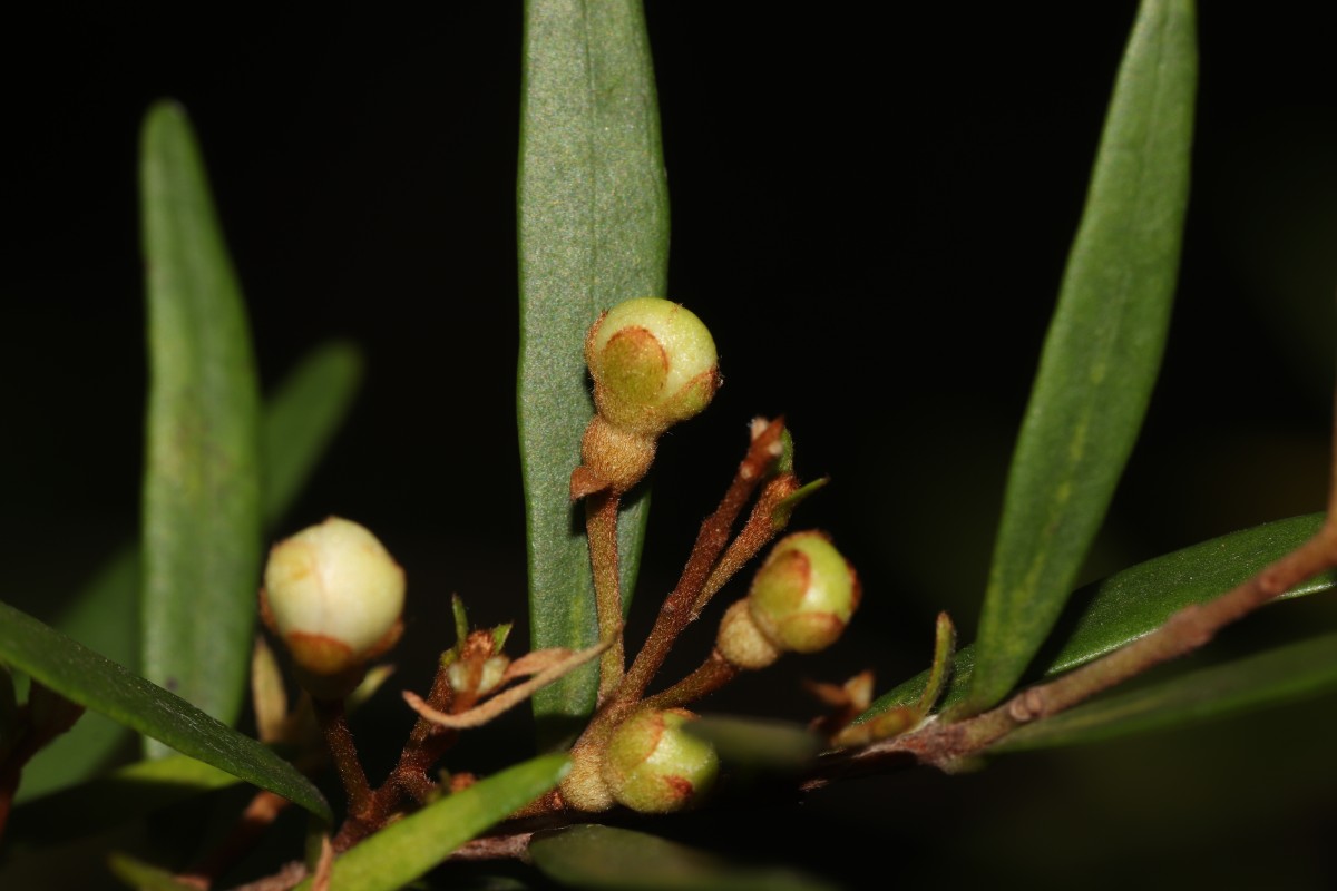
Botanical Name / Eugenia rheophytica Kosterm.

Genus: Eugenia
Group: 1 Angiosperms (Flowering Plants) - I - Dicotyledons Family: Myrtaceae Genus: Eugenia
Common sinhala name
Habit
Small Tree
Origin
Endemic
Conservation status
CR- Critically Endangered
Legal status
Not protected
Similar species
All vernacular names
Eugenia rheophytica Kosterm.
Featured image
Eugenia rheophytica Kosterm.
Contributors for Images
Ven. Wadduwe Rathanawansa (ID-HDJ), FlowerSL (ID-HDJ)
Eugenia rheophytica Kosterm.

No related sites added.



FLORA AND FAUNA SL (GUARANTEE) LTD. 93/A/18
2nd Lane, Bandaranayakepura, Idigolla, Gampaha.

(033) 222 8823,

071 914 3228

floraofsrilankapmr@gmail.com